Etiket: trafik düzenlemesi

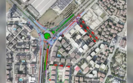
Başiskele Kavşağı Projesi’nde Yeni Aşama: Sahil Bağlant...

Kocaeli’de Başiskele Kavşağı Projesi kapsamında İzmit Sahil Bağlantı Yolu 14 Nis...

Kocaeli’de Ulaşım Büyükşehir’le Tıkır Tıkır İşliyor

Kocaeli Büyükşehir Belediyesi, ulaşım ve trafik güvenliğini artırmak için kent g...

D-100 Karayolu’nda Hız Limitleri İçin EDS Tabelaları Gü...

Kocaeli Büyükşehir Belediyesi, UKOME kararı doğrultusunda D-100 Karayolu’nda hız...

İzmir’de Üç Kavşakta Eş Zamanlı Düzenleme: Çiğli ve Gaz...

İzmir Büyükşehir Belediyesi, Çiğli–Mavişehir hattı ile Gaziemir’de uzun araç kuy...

Büyükşehir Belediyesi Hatuniye Caddesi Bağlantı Yolunda...

Van Büyükşehir Belediyesi, Hatuniye Caddesi’ni Melen Caddesi’ne bağlayan güzergâ...

Yalova Kent Girişinde Trafiği Rahatlatacak Yol Genişlet...

Yalova Belediyesi, şehir merkezine giriş güzergâhında trafiği rahatlatmak amacıy...

Şanlıurfa’da SSK Caddesi Rahatlıyor

Şanlıurfa Büyükşehir Belediyesi, Eyyübiye ilçesindeki SSK Caddesi’nde uzun yılla...

Giresun’da Duraklar Yenilendi, Şehir İçi Ulaşım Daha Gü...

Giresun Belediyesi, şehir içi ulaşımın düzenlenmesi ve toplu taşıma hizmetlerini...

Mardin'de İçme Suyu Çalışmaları Nedeniyle İki Cadde Tra...

Mardin Büyükşehir Belediyesi Su ve Kanalizasyon İdaresi (MARSU), “Mardin İçme Su...

Nebi Hatipoğlu’ndan Dubaların Kaldırılmasına Tepkiyle K...

Büyükşehir Belediyesi’nin Atatürk Bulvarı’ndaki tartışmalı duba uygulamasını kal...

Atatürk Caddesi'nde Sola Dönüş Yasağı Devam Ediyor: Aci...

Eskişehir'de 19 Kasım 2025 tarihli UKOME toplantısında, Mustafa Kemal Atatürk Ca...

Van Büyükşehir Belediyesi’nden Trafiği Rahatlatacak Tek...

Van Büyükşehir Belediyesi, şehir merkezindeki trafik yoğunluğunu azaltmak amacıy...

Başkan Faruk Demir’den Trafiğe Nefes Aldıracak Otopark ...

Ardahan Belediye Başkanı Faruk Demir, kent merkezindeki araç yoğunluğunu azaltma...

Giresun Zabıtasından Köy Okullarına Yaya Geçidi Desteği

Giresun Belediyesi Zabıta Müdürlüğü, köy okulları önünde öğrencilerin güvenliğin...

Eskişehir Haller Kavşağı’nda Yeni Trafik Düzenlemesi: G...

Eskişehir Büyükşehir Belediyesi, kent içi trafik akışını rahatlatmak amacıyla Ha...

Haller Kavşağı’nda Trafiği Rahatlatacak Yeni Düzenleme ...

Eskişehir Büyükşehir Belediyesi, kent içi ulaşımı daha akıcı hale getirmek amacı...

Tepebaşı Kavşağı’nın Kapatılma Süresi 21 Kasım’a Kadar ...

Eskişehir D-200 karayolundaki Tepebaşı Kavşağı’nda yürütülen geçici kapatma uygu...

D-130 Karayolu’nda Trafik Düzenlemesi

Kocaeli Büyükşehir Belediyesi, Başiskele’de yapımı süren kavşak projesi kapsamın...

Şanlıurfa'da Divanyolu Trafiğe Kapanıyor: Nostaljik Tra...

Şanlıurfa Büyükşehir Belediyesi, “Divanyolu Yayalaştırma ve Nostaljik Tramvay Pr...

Balıkesir Büyükşehir’den Çift Sıra Park Sorununa Kalıcı...

Balıkesir Büyükşehir Belediyesi, şehir merkezindeki Anafartalar ve Zağnos Paşa c...

Ajans Expres Gazetesi internet sitemiz'de, kullanıcı deneyimini geliştirmek ve internet sitesinin verimli çalışmasını sağlamak amacıyla çerezler kullanılmaktadır. Ayrıntıları inceleyin